
WinCross Executive brings the marketing research industry’s most advanced crosstabulation software online.
Vendor
The Analytical Group
Company Website




WinCross Executive – Advanced Online Crosstabulation & Reporting
WinCross Executive brings the marketing research industry’s most advanced crosstabulation software online. Known as The Next Generation of WinCross, WinCross Executive allows both experienced analysts and novice users to quickly extract and highlight statistical trends from survey data. Upload your data directly to WinCross Executive and begin creating dashboards with dynamic filtering within minutes. WinCross Desktop users can export existing jobs directly to WinCross Executive bringing the project online.
Easily design a customized dashboard with personalized backgrounds and interactive filters, all with automatic updating. Share your crosstabs, reports, charts, and dashboards with your clients and colleagues in real-time, online, on any device, anytime!
Features
- **My Drive: **Upload, download and share files to other users.
- **Crosstabs: **Select variables of interest and easily create crosstabs of various types, including standard, summary of means, summary of frequencies and multiple response.
- **Charts: **Choose between a wide variety of charts that can be ran individually or added to reports and dashboards.
- **Dashboards: **Create customizable client ready dashboards. Add simple filters to quickly filter results to a specific group. Share the results through PDF, Excel, or a Private Link.
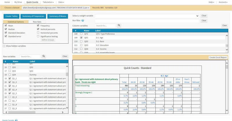
- **Quick Counts: **A quick and easy-to-use feature that can help explore "what if" scenarios to determine whether the data supports further analysis. Quick Counts can be filtered, weighted, and exported to Excel.
- **Reports: **Designed from crosstabs and charts and viewed online or downloaded to Excel/PPT.
- **Sharing: **Data files, crosstabs, reports and dashboards can all be shared with Associates, making project collaboration a snap.
- **Private Links: **Links can be created to share with users outside of WinCross Executive. Private links can be set with a “time stamp” expiration and password of your choosing.
- **Advanced options: **Users will appreciate the ability to combine rows with AND or OR, create net rows, edit logic, set mean values, etc.
- **Comparison groups: **Defined using an intuitive point-and-click interface and significance testing results will appear in the final report.